Theo dõi Báo Thanh tra trên
Trung Khánh
Thứ bảy, 13/04/2024 - 06:00
(Thanh tra) - Quyền lợi bị ảnh hưởng, cuộc sống bị đảo lộn, đó là thực tế hiện nay của ông Nguyễn Văn Sùng (trú tại phường 2, TP Vũng Tàu) do những quyết định thu hồi đất của thị xã Phú Mỹ có dấu hiệu “tiền hậu bất nhất” về diện tích, định danh các thửa đất bị thu hồi.
Công văn của UBND thị xã Phú Mỹ trả lời Báo Thanh tra. Ảnh: Trung Khánh
Phản ánh tới Báo Thanh tra, ông Sùng ủng hộ chủ trương của Đảng và Nhà nước khi triển khai xây dựng Dự án Khu Công nghiệp chuyên sâu Phú Mỹ III tại phường Phước Hòa, thị xã Phú Mỹ, tỉnh Bà Rịa - Vũng Tàu. Tuy nhiên, trong quá trình thu hồi phần đất để thực hiện dự án, UBND thị xã Phú Mỹ lại có sự “nhầm lẫn” khó hiểu khiến quyền lợi của ông bị ảnh hưởng.
UBND thị xã Phú Mỹ "mập mờ" trong việc thu hồi và bồi thường các thửa đất ông Sùng?
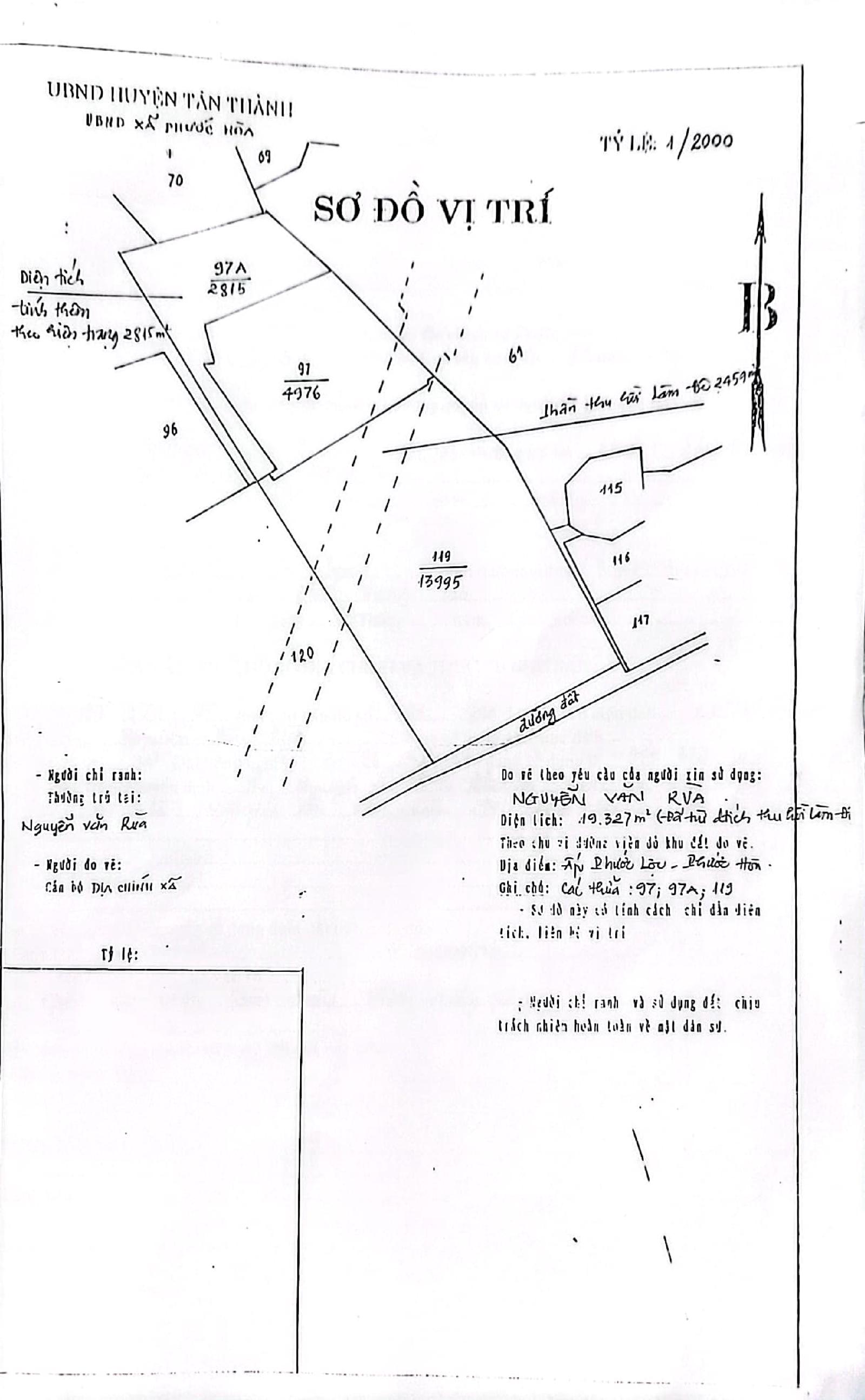
Như Báo Thanh tra đã phản ánh, ông Nguyễn Văn Sùng là chủ sở hữu phần đất nông nghiệp có diện tích 19.372m2, gồm 3 thửa số 97A, 97 và 119 liền nhau, thuộc tờ bản đồ số 31, tại ấp Phước Lộc, xã Phước Hòa, huyện Tân Thành (nay là thị xã Phú Mỹ), tỉnh Bà Rịa - Vũng Tàu.
Năm 2007, ông Sùng chuyển nhượng 9.999,7m2 (thuộc một phần thửa đất 119) cho Công ty TNHH Sông Xanh.
Sau khi chuyển nhượng, còn lại 9.373,2m2 thuộc các thửa số 97A, số 97 và một phần thửa số 119, ông Sùng sử dụng ổn định đến nay và không có tranh chấp
Ngày 8/7/2020, UBND thị xã Phú Mỹ ban hành Thông báo thu hồi đất số 967/TB-UBND về việc thu hồi đất để giao cho Công ty CP Thanh Bình - Phú Mỹ thực hiện Dự án Khu Công nghiệp chuyên sâu Phú Mỹ III, phường Phước Hò, với diện tích thu hồi là 9.558,2m2. Tuy nhiên, trong thông báo thu hồi này, diện tích đất bị ảnh hưởng không phải các thửa 97A, 97 và một phần thửa 119 như sơ đồ vị trí đất của ông, mà là các thửa số 267, 97, 269.
Sau gần 2 năm, ngày 9/12/2022, UBND thị xã Phú Mỹ ban hành Quyết định số 2143/QĐ-UBND về việc thu hồi đất để xây dựng Khu Công nghiệp chuyên sâu Phú Mỹ III. Theo đó, diện tích thu hồi được giảm xuống còn 7.771,3m2 thuộc các thửa số 97, 269 và 119.
Ngày 5/1/2024, UBND thị xã Phú Mỹ ban hành 2 quyết định điều chỉnh về số thửa đất của ông Sùng. Cụ thể, điều chỉnh từ “thu hồi diện tích đất nông nghiệp 7.771,3m2 thuộc các thửa số 97, thửa số 269 và thửa số 119, tờ bản đồ số 31, phường Phước Hòa” thành “thu hồi diện tích đất nông nghiệp 7.771,3m2 thuộc các thửa số 97, thửa số 269, thửa số 333 (thửa cũ 119)...”.
Điều khó hiểu, tại sơ đồ vị trí được xác nhận năm 2001, đất ông Sùng bị thu hồi là thửa số 97A, số 97 và một phần thửa số 119, tờ bản đồ 31, phường Phước Hòa. Lần lượt theo thời gian, UBND thị xã Phú Mỹ “phù phép” thành thửa số 267, số 97 và số 269. Rồi sau đó tiếp tục “hô biến” thành thửa 97, 269 và 119. Đến đầu năm 2024, một lần nữa cơ quan này “biến” thành các thửa 97, 269 và thửa 333.
Ông Sùng thắc mắc: UBND thị xã Phú Mỹ lấy đâu ra các thửa 267, 269 và thửa 333 để thay thế các thửa 97A, 97, 119? Trên sơ đồ vị trí, rõ ràng 3 thửa 97A, 97, 119, nhưng khi thu hồi, UBND thị xã Phú Mỹ khẳng định đất của ông, ngoài thửa 97 như sơ đồ thì có thửa 269 và 333 (còn thửa 97A của ông hoàn toàn bị biến mất). Phải chăng số thửa đất này từ trên trời rơi xuống?
Ngoài ra, đất của ông rõ ràng có thửa 97A, nhưng không hiểu vì lý do gì mà UBND thị xã Phú Mỹ cho rằng thửa 97A là đất do phường quản lý? Phải chăng do thửa này có vị trí đẹp nhất trong các thửa, nằm sát vị trí mặt tiền đường lớn vào khu công nghiệp nên bị “phù phép” thành đất “do phường quản lý”?

UBND thị xã Phú Mỹ "mập mờ" việc định danh số thửa đất khi bồi thường đất của ông Sùng, là có mục đích gì?
UBND thị xã Phú Mỹ có "tiền hậu bất nhất"?
Ngày 4/4/2024, ông Nguyễn Văn Thắm, Chủ tịch UBND thị xã Phú Mỹ đã có Văn bản số 2217/UBND-TNMT cung cấp thông tin liên quan đến việc thu hồi đất của ông Nguyễn Văn Sùng gửi Báo Thanh tra.
Theo đó, tại bảng xác định thông tin địa chính ngày 18/10/2021 của Chi nhánh Văn phòng Đăng ký Đất đai thị xã Phú Mỹ và Phòng Tài nguyên và Môi trường, thì trường hợp ông Nguyễn Văn Sùng bị thu hồi với diện tích 9.558,2m2 thuộc các thửa 267, 97 và một phần thửa đất 269, 119, tờ bản đồ số 31.
Tại bảng xác định thông tin địa chính ngày 28/11/2023, trường hợp ông Nguyễn Văn Sùng bị thu hồi với tổng diện tích 7.771,3m2 thuộc các thửa đất số 97, 269 (thửa cũ 119), thửa đất số 333 (thửa cũ 119).
Về nguồn gốc các thửa đất “mới phát sinh” sau điều chỉnh, UBND thị xã Phú Mỹ lý giải, năm 2000, dự án đê Phước Hòa triển khai thực hiện công tác thu hồi đất, đã tách thửa 119, tờ bản đồ số 31 thành 2 thửa.
Năm 2001, khi cập nhật trên bản đồ địa chính (bản đồ số hóa), thửa đất 119, tờ bản đồ địa chính số 31 tách ra thành 2 thửa mới là thửa 119 (diện tích 12.228m2) và thửa 269 (thuộc thửa 119 cũ, diện tích 1.080m2). Như vậy, thửa đất 119 cũ có tổng diện tích là 13.308m2.
Đối với phần diện tích 1.786,9m2 không nằm trong quyết định thu hồi nhưng đã bị cơ quan chức năng cưỡng chế và san lấp vào ngày 1/3/2024, UBND thị xã Phú Mỹ cho biết, đây là phần đất thuộc thửa 267, tờ bản đồ địa chính số 31. Theo hồ sơ địa chính (sổ mục kê) được Sở Địa chính xác nhận năm 1997 là đất hoang bằng do UBND phường quản lý. Theo hồ sơ địa chính, thửa đất số 267, tờ bản đồ địa chính số 31 không thuộc các thửa đất số 97, 119; toàn bộ diện tích thửa đất 97A thuộc thửa đất số 267, tờ bản đồ số 31.
So sánh với những văn bản do UBND thị xã Phú Mỹ ban hành trước đó, các thông tin liên quan đến thu hồi đất của ông Sùng không có sự thống nhất, thậm chí là mâu thuẫn.
Theo giải thích của UBND thị xã Phú Mỹ, năm 2000, thửa đất số 119 được tách thành thửa 269 và thửa 119. Chính đơn vị này cũng xác nhận, năm 2001, ông Sùng nhận chuyển nhượng từ ông Nguyễn Văn Rùa 3 thửa đất số 97, 97A và 119, thuộc tờ bản đồ số 31, với diện tích 19.372m2. Trên thực tế hiện nay, thửa 119 cũ được tách thành 3 thửa, gồm các thửa 119, 269 và 333.
Vậy thửa đất số 333 là thửa nào? Có diện tích bao nhiêu? Do ai sử dụng? Nếu năm 2000 đã được tách làm 2 thửa, thì tại sao năm 2001, UBND xã Phước Hòa còn xác nhận cho ông Sùng sở hữu thửa 97A và thửa 119?
Ông Sùng khẳng định chỉ nhận Thông báo 967/TB-UBND ngày 8/7/2020 về việc thu hồi diện tích là 9.558,2m2, gồm các thửa 267, 97, 269, tờ bản đồ địa chính số 31, tại xã Phước Hòa (nay là phường Phước Hòa). Thông báo này cũng sai về số thửa đất thu hồi. Từ đó đến nay, ông chưa nhận được thông báo hoặc hồ sơ nào khác về việc thay đổi số thửa, điều chỉnh diện tích thu hồi từ UBND thị xã Phú Mỹ.
Không hiểu vì lý do gì, trong quá trình thu hồi đất, UBND thị xã Phú Mỹ lại liên tục thay đổi định danh các thửa đất bằng nhiều văn bản khác nhau mà không hề thông báo cho chủ đất là ông Nguyễn Văn Sùng. Đặc biệt, khi ông khiếu nại, UBND thị xã Phú Mỹ luôn mập mờ, không cung cấp sơ đồ vị trí đất và không giải thích cho công dân. Thậm chí, tại công văn phản hồi cho Báo Thanh tra, Chủ tịch UBND thị xã Phú Mỹ trả lời thiếu nhất quán.
Thu hồi đất năm 2022, áp giá năm 2020
Liên quan đến giá đất đền bù, UBND thị xã Phú Mỹ áp đơn giá đền bù 283.000 đồng/m2, căn cứ theo Quyết định số 3516/QĐ-UBND của UBND tỉnh Bà Rịa - Vũng Tàu ngày 23/11/2020. Trong khi đó, quyết định thu hồi và phê duyệt kinh phí bồi thường của UBND thị xã Phú được ban hành vào ngày 9/12/2022 (chậm hơn 24 tháng).
Theo khoản 2, Điều 74 Luật Đất đai 2013, “việc bồi thường được thực hiện bằng việc giao đất có cùng mục đích sử dụng với loại đất thu hồi, nếu không có đất để bồi thường thì được bồi thường bằng tiền theo giá đất cụ thể của loại đất thu hồi do UBND cấp tỉnh quyết định tại thời điểm quyết định thu hồi đất”.
Tại thời điểm ngày 9/12/2022, giá đất thị trường cao hơn nhiều so với ngày 23/11/2020. Do đó, ông Sùng bị thiệt hại khi UBND thị xã Phú Mỹ áp dụng đơn giá bồi thường năm 2020.
Cho rằng việc thu hồi và đền bù đất của UBND thị xã Phú Mỹ không thoả đáng, trái với quy định của pháp luật hiện hành, ngày 26/5/2023, ông Sùng có đơn khởi kiện cơ quan này lên TAND tỉnh Bà Rịa - Vũng Tàu.
Ngày 8/6/2023, TAND tỉnh Bà Rịa - Vũng Tàu đã có Thông báo số 152/TLST-HC về việc thụ lý vụ án hành chính sơ thẩm.
Ngày 6/3/2024, TAND tỉnh Bà Rịa - Vũng Tàu đã tổ chức buổi đo, vẽ đối với diện tích đất khoảng 19.372m2 thuộc thửa đất số 97, 97A và 119, tờ bản đồ số 31, tọa lạc tại phường Phước Hòa, thị xã Phú Mỹ.
Ý kiến bình luận:
Hiện chưa có bình luận nào, hãy trở thành người đầu tiên bình luận cho bài biết này!
(Thanh tra) - Lãng phí không chỉ là sự thất thoát được thể hiện qua những con số, mà còn là sự “tê liệt” của nguồn lực và sự xói mòn lòng tin của Nhân dân. Tại Thanh Hóa, trong 97 dự án đầu tư công tồn đọng kéo dài, có 2 dự án đường giao thông từ cầu Nỏ Hẻn đến đường tỉnh 514 và đoạn từ đường tỉnh 514 đến Cảng hàng không Thọ Xuân đang nằm trong “vòng xoáy” chậm trễ, gây lãng phí, trở thành những lực cản trên hành trình phát triển của địa phương.
Văn Thanh
(Thanh tra) - Tại 2 dự án giao thông kết nối TP Thanh Hóa (cũ) với Cảng hàng không Thọ Xuân, khi cơ chế dần được tháo gỡ, nguồn lực đang được tính toán lại, vấn đề cốt lõi không còn là “vì sao chậm”, mà là “ai chịu trách nhiệm và làm thế nào để chấm dứt lãng phí?”. Đây không chỉ là bài toán hạ tầng, mà còn là phép thử đối với hiệu lực quản lý và quyết tâm chống lãng phí trong đầu tư công.
Văn Thanh
Văn Thanh
Văn Thanh
Thái Minh
Thuỳ Anh
Thanh Lương
Trọng Tài
Văn Thanh
Trọng Tài
Trang Nguyệt
Trọng Tài
Thu Huyền
T. Minh
Hương Giang
Văn Tám – Hồng Hoa
Thanh Lương
Thanh Lương