Theo dõi Báo Thanh tra trên
Chu Tuấn
Thứ tư, 15/01/2025 - 09:00
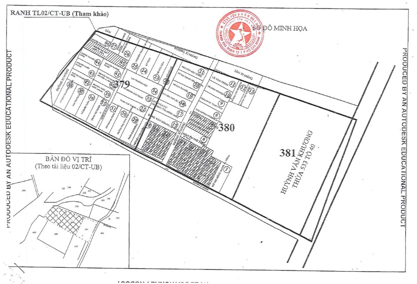
(Thanh tra) - 45 công trình vi phạm về đất đai, xây dựng có vị trí thuộc một phần thửa 379, 380, tờ bản đồ số 8 (Tài liệu 02/CT-UB); thuộc một phần thửa 104, tờ bản đồ số 39 (Tài liệu năm 2005) tại Tổ 11, Khu phố 6 (nay là Khu phố 11) phường Thạnh Xuân, Quận 12. Ông Huỳnh Văn Khương được xác định là người bị xử phạt tại rất nhiều công trình trong số 45 công trình vi phạm nêu trên…
45 công trình vi phạm về đất đai, xây dựng nằm tại Tổ 11, Khu phố 6 (nay là Khu phố 11) phường Thạnh Xuân, Quận 12. Ảnh minh họa: Chu Tuấn
Vi phạm trong thời gian dài
Theo Kết luận thanh tra số 108/KL-TTr ngày 9/12/2024 của Thanh tra Quận 12 về thanh tra trách nhiệm của cơ quan, tổ chức, cá nhân có liên quan trong công tác quản lý đất đai, xây dựng tại Tổ 11 Khu phố 6, phường Thạnh Xuân cho thấy, khu đất được thanh tra có vị trí thuộc một phần thửa 379, 380, tờ bản đồ số 8 (Tài liệu 02/CT-UB); thuộc một phần thửa 104, tờ bản đồ số 39 (Tài liệu năm 2005) tại Tổ 11, Khu phố 6 (nay là Khu phố 11) phường Thạnh Xuân, Quận 12.
Khu đất được UBND Quận 12 cấp giấy chứng nhận quyền sử dụng đất từ tháng 10/1998 đứng tên ông Huỳnh Văn Khương…
Trong giai đoạn từ tháng 12/2022 đến tháng 3/2023, UBND phường Thạnh Xuân đã lập hồ sơ xử lý vi phạm hành chính trong lĩnh vực đất đai đối với 45 trường hợp (46 công trình xây dựng trên đất) tại khu đất nêu trên.
Kết quả thanh tra cho thấy, qua kiểm tra 45 quyết định xử phạt vi phạm hành chính do Phòng Tài nguyên và Môi trường Quận 12 tham mưu UBND quận ban hành, có 35 quyết định xử phạt vi phạm hành chính đối với ông Huỳnh Minh Khương với nhiều thời điểm vi phạm kéo dài từ tháng 1/2004 (hành vi vi phạm sớm nhất) đến tháng 2/2021 (hành vi muộn nhất)…
Thanh tra Quận 12 cho rằng, ông Khương thuộc trường hợp vi phạm hành chính nhiều lần, cấp áp dụng tình tiết tăng nặng trong xử phạt vi phạm hành chính. Tuy nhiên, qua rà soát, không có quyết định xử phạt vi phạm hành chính nào đối với ông Khương có áp dụng tình tiết tăng nặng…

Sơ đồ minh họa khu đất thuộc một phần thửa 379, 380, tờ bản đồ số 8 (Tài liệu 02/CT-UB); thuộc một phần thửa 104, tờ bản đồ số 39 (Tài liệu năm 2005) tại Tổ 11, Khu phố 6 (nay là Khu phố 11) phường Thạnh Xuân, Quận 12. Ảnh chụp màn hình: Chu Tuấn
Loạt cán bộ liên quan tới vi phạm
Kết luận thanh tra cho biết, Thanh tra Quận 12 đã xác minh các cá nhân có thẩm quyền quản lý xây dựng, đất đai trên địa bàn phường Thạnh Xuân qua các thời kỳ liên quan đến những vi phạm tại khu đất trên trên.
Cụ thể, các công chức trực tiếp quản lý xây dựng, đất đai gồm: Ông Nguyễn Văn Thi (2 trường hợp vi phạm), ông Phan Kim Khôi (7 trường hợp vi phạm), ông Nguyễn Văn Lâm (2 trường hợp vi phạm), ông Nguyễn Thanh Thắng (2 trường hợp vi phạm). Đặc biệt, ông Lê Hồng Phúc (22 trường hợp vi phạm); ông Huỳnh Đình Thắng (13 trường hợp vi phạm).
Các phó chủ tịch của UBND phường Thạnh Xuân qua các thời kỳ gồm: Ông Trần Hoàng Tuấn (7 trường hợp vi phạm), ông Phan Kim Khôi (24 trường hợp vi phạm), ông Nguyễn Bá Đàn (12 trường hợp vi phạm) và ông Nguyễn Văn Quyên (1 trường hợp).
Các chủ tịch của UBND phường Thạnh Xuân phường qua các thời kỳ gồm: Ông Võ Minh Lâm (3 trường hợp vi phạm), bà Lê Thị Hồng Nga (6 trường hợp vi phạm), ông Nguyễn Văn Hùng (2 trường hợp vi phạm), ông Vũ Anh Đức (20 trường hợp vi phạm), ông Phạm Đăng Duy (13 trường hợp vi phạm), ông Nguyễn Tiến Đạt (1 trường hợp vi phạm).

Thanh tra Quận 12 kiến nghị UBND quận giao UBND phường Thạnh Xuân tổ chức thi hành các quyết định vi phạm hành chính đối với 45 trường hợp vi phạm nêu trên. Ảnh chụp màn hình: C.T
Sai phạm của các cá nhân có thẩm quyền
Thanh tra Quận 12 nhận thấy các cá nhân có thẩm quyền quản lý xây dựng, đất đai trên địa bàn phường Thạnh Xuân qua các thời kỳ đã có những sai phạm như: Không kịp thời kiểm tra, phát hiện, xử lý vi phạm hành chính về đất đai, xây dựng đối với 45 trường hợp vi phạm hành chính nêu trên. Trách nhiệm chính thuộc về Tổ Thanh tra xây dựng phường Thạnh Xuân (giai đoạn 2011-5/2013) và công chức địa chính - xây dựng qua các thời kỳ; trách nhiệm trực tiếp quản lý, điều hành của các phó chủ tịch UBND phường phụ trách đô thị qua các thời kỳ; trách nhiệm người đứng đầu của các chủ tịch UBND phường qua các thời kỳ…
Tuy nhiên, trong số 45 trường hợp vi phạm, có 12 trường hợp vi phạm xảy ra trước ngày 1/7/2014 - thời điểm Luật Đất đai năm 2013 có hiệu lực; 12 quyết định xử phạt vi phạm hành chính do Phòng Tài nguyên và Môi trường tham mưu UBND quận ban hành đối với những trường hợp này đều thể hiện người đang sử dụng đất được tạm thời sử dụng đất, nhưng phải giữ nguyên hiện trạng... Do đó, xét tính chất, mức độ thiệt hại của hành vi vi phạm hành chính, Thanh tra quận nhận thấy những sai phạm của các cá nhân có liên quan đến 12 trường hợp này chưa đến mức phải xem xét xử lý trách nhiệm…
Ông Lê Hồng Phúc, ông Phan Kim Khôi (Phó Chủ tịch UBND phường giai đoạn 2009-2018) chịu trách nhiệm về việc không kịp thời kiểm tra, phát hiện, xử lý vi phạm hành chính về đất đai, xây dựng khi người sử dụng đất lập thủ tục cấp số nhà vào năm 2014-2016…
Thanh tra Quận 12 kiến nghị UBND quận giao UBND phường Thạnh Xuân tổ chức thi hành các quyết định vi phạm hành chính đối với 45 trường hợp vi phạm nêu trên...
Ngoài ra, Thanh tra Quận 12 cũng kiến nghị UBND quận giao phòng Nội vụ tham mưu UBND quận tổ chức kiểm điểm làm rõ trách nhiệm của các cá nhân có liên quan về những sai phạm đã được nêu rõ trong kết luận…
Ý kiến bình luận:
Hiện chưa có bình luận nào, hãy trở thành người đầu tiên bình luận cho bài biết này!
(Thanh tra) - Không chỉ dừng lại ở những hạn chế mang tính hệ thống, Kết luận thanh tra của Thanh tra Chính phủ còn chỉ rõ nhiều vi phạm cụ thể tại 12 dự án được thanh tra trực tiếp, trải rộng trên các lĩnh vực từ khoáng sản, thủy điện đến đầu tư nhà ở, nông – lâm nghiệp.
Lê Phương
(Thanh tra) - Thanh tra Chính phủ vừa công khai thông báo kết luận thanh tra việc thanh tra công tác quản lý, sử dụng đất và công tác quản lý thăm dò, khảo sát, quy hoạch, cấp phép, khai thác, vận chuyển đối với các mỏ vật liệu xây dựng (VLXD) tại UBND tỉnh Cao Bằng. Kết luận thanh tra chỉ rõ hàng loạt tồn tại, hạn chế trong công tác quản lý, sử dụng đất và quản lý hoạt động thăm dò, khai thác khoáng sản làm VLXD trên địa bàn tỉnh Cao Bằng.
Lê Phương
Cảnh Nhật
Nhật Huyền
Cảnh Nhật
Cảnh Nhật
T.Vân
Chu Tuấn
Minh Tân
Cao Huân
Vũ Linh - Minh Tân
Minh Tân
Hương Giang
Hương Giang
Đông Hà - Thanh Hoa
Hương Giang
Đông Hà - Thanh Hoa