Theo dõi Báo Thanh tra trên
Đình Sang
Thứ tư, 01/11/2023 - 22:03
(Thanh tra) - Đang trong thời gian thực hiện đóng cửa mỏ khoáng sản đá vật liệu xây dựng (VLXD) thông thường Chầm Mâm, xã Suối Bạc, huyện Sơn Hòa, tỉnh Phú Yên, thế nhưng, đến hiện tại, mỏ đá này có nhiều dấu hiệu làm thay đổi dòng chảy con suối và tác động sườn đồi ngoài khu vực khai thác cho phép.
Con suối Chầm Mâm và sườn đồi có dấu hiệu bị tác động. Ảnh: Đình Sang
Theo phản ánh, mỏ khoáng sản đá VLXD thông thường Chầm Mâm, xã Suối Bạc, huyện Sơn Hoà có dấu hiệu tác động vào khu vực sườn đồi ngoài diện tích khu vực cho phép khai thác và tác động đến con suối làm thay đổi hiện trạng, tác động dòng chảy khi chưa được cơ quan thẩm quyền cho phép.
Những ngày giữa tháng 10, chúng tôi đã có mặt ghi nhận thực tế. Tiến vào khu vực mỏ đá, theo quan sát, bên trong bao gồm khu khai thác đá, bãi tập kết đá xay, vật liệu cát và khu trạm trộn nhựa nóng.
Giáp ranh khu vực mỏ đá là con suối Chầm Mâm. Tại thời điểm chúng tôi có mặt, khu vực suối nước cạn dòng chảy con suối nhỏ. Ngay vị trí giữa lòng con suối, có dấu hiệu tác động bởi máy đào khiến cho lòng suối có dấu hiệu bị thay đổi điều này có thể tác động đến dòng chảy. Nhìn theo hướng dòng chảy về phía cuối khu vực chúng tôi ghi nhận có một máy đào đang dừng nghỉ, phía bên kia sườn đồi ngoài khu vực mỏ đá có dấu hiệu bị đào bới, đục khoát nham nhở. Một phần đá dường như có dấu hiệu bị vận chuyển đi nơi khác.

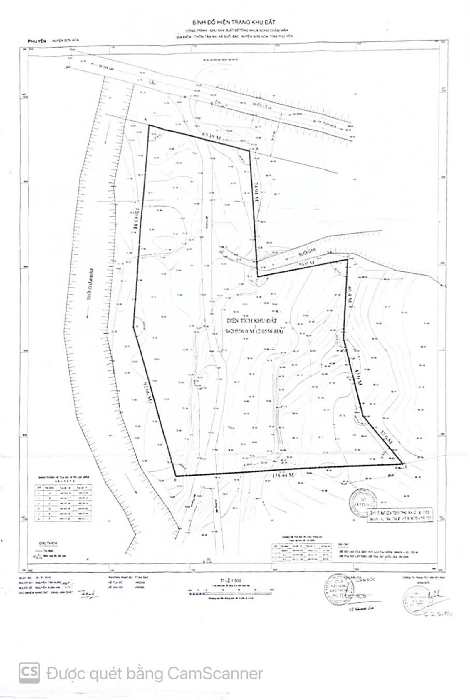
Bình đồ hiện trạng khu đất thể hiện rõ con suối, khu vực sườn đồi và khu đất tách biệt nhau. Ảnh: Đình Sang
Khi chúng tôi đang ghi nhận, một người đàn ông xưng là người của mỏ đá này. Được hỏi về dòng chảy của con suối, người này nói: “Dòng chảy từ phía trên kia chảy qua đây".
Chúng tôi hỏi về dấu hiệu bị tác động, người này trả lời: "Có gì em cứ lên gặp sếp anh. Chứ em vào đây làm gì mấy ông kia vào kình em á”. (mấy ông bảo vệ ở đây sẽ gây sự - theo PV).
Người dân xã Suối Bạc, sống gần khu vực mỏ đá Chầm Mâm cho biết: “Ở khu vực này là con suối, từ xưa đến nay, có suối người ta mới làm cầu. Khi trời nắng thì nó cạn, nhưng mưa lớn là dòng nước chảy siết”.
Để nắm rõ hơn về toạ độ và hiện trạng, có mặt tại UBND xã Sưới Bạc, huyện Sơn Hoà, ông Võ Hoàng Phương, Chủ tịch UBND xã Suối Bạc chỉ đạo cán bộ địa chính làm việc với cộng tác viên Báo Thanh tra. Tại đây, cán bộ địa chính cho biết: “Mùa nắng, con suối sẽ không có nước, nếu đi kiểm tra mà phát hiện đơn vị khai thác hay tác động con suối thì sẽ báo cáo và phải khôi phục lại. Còn bây giờ kiểm tra theo toạ độ thì xã không kiểm tra được và về máy móc xã cũng không đủ”.
Khi mở bản đồ quy hoạch của huyện Sơn Hoà thì cán bộ chỉ cho chúng tôi khu vực mỏ khai thác và con suối Chầm Mâm.

Cán bộ địa chính xã Suối Bạc mở bản đồ chỉ cho cộng tác viên Báo Thanh tra về vị trí mỏ khoáng sản và con suối, trên bản đồ thể hiện lòng suối mỏ đá Chầm Mâm tách biệt nhau. Ảnh: Đình Sang
Ngày 11/10, chúng tôi có mặt tại UBND huyện Sơn Hoà, đăng ký và gửi những nội dung cần làm rõ đến ông Lê Văn Quy, Chủ tịch UBND huyện Sơn Hoà. Ông Quy thông báo sẽ sắp xếp và liên hệ sớm cho chúng tôi.
Đến ngày 24/10, sau khi nhắc lại nội dung đã đăng ký, ông Quy chỉ đạo cho Phòng Tài nguyên và Môi trường (TN&MT) làm việc với cộng tác viên Báo Thanh tra.
Tại đây, sau khi chúng tôi hỏi về vấn đề liên quan đến mỏ đá này có dấu hiệu tác động đến con suối, sườn đồi sát con suối có dấu hiệu bị đục khoét, ông Phan Thế Lựu, Trường phòng TN&MT huyện Sơn Hoà cho biết: Hiện tại mỏ đá này đang trong thời gian thực hiện đề án đóng cửa mỏ. Vừa rồi, Sở TN&MT có phối hợp để kiểm tra đột xuất về công tác chuẩn bị đóng cửa mỏ và một số vấn đề liên quan, đã có biên bản.

Trụ sở UBND huyện Sơn Hoà. Ảnh: Đình Sang
“Với dòng suối, hai năm lại đây thì nước xoáy vào khu vực mỏ làm trôi đá. Vừa rồi có cả sở đi kiểm tra vị trí này thì họ (đơn vị khai thác) nói là đắp bờ bên này để chỉnh dòng chảy con suối, cái này thì họ tự chỉnh dòng chảy thôi chứ không được cấp phép đâu. Đối với việc có tác động phía sườn đồi bên kia hay không, phòng sẽ kiểm tra lại. Thời điểm trước khi kiểm tra thì không phát hiện điều gì bất thường”, ông Lựu nói.
Qua tìm hiểu, mỏ khoáng sản VLXD thông thường Chầm Mâm, xã Suối Bạc, huyện Sơn Hoà của Công ty Cổ phần Xây dựng giao thông Phú Yên theo Giấy pháp khai thác khoáng sản số 1299/GP-UBND ngày 20/8/2008, Giấy pháp khai thác khoáng sản (gia hạn) số 37/GP-UBND ngày 15/6/2011 và Giấy phép khai thác khoáng sản số 01/GP-UBND ngày 8/1/2015 của UBND tỉnh.

Thời gian thực hiện đề án đóng cửa mỏ là 13 tháng. Ảnh: Đình Sang
Ngày 2/2/2023, UBND tỉnh Phú Yên ban hành Quyết định số 80/QĐ-UBND về việc phê duyệt đề án đóng của mỏ khoáng sản đá VLXD thông thường Chầm Mâm, xã Suối Bạc, huyện Sơn Hoà. Trong đó, thời gian thực hiện đề án đóng cửa mỏ là 13 tháng (kể từ ngày phê duyệt đề án đóng cửa mỏ), thời gian trồng dặm và chăm sóc cây là 3 năm.
Báo Thanh tra sẽ tiếp tục thông tin.
Ý kiến bình luận:
Hiện chưa có bình luận nào, hãy trở thành người đầu tiên bình luận cho bài biết này!
(Thanh tra) - Lãng phí không chỉ là sự thất thoát được thể hiện qua những con số, mà còn là sự “tê liệt” của nguồn lực và sự xói mòn lòng tin của Nhân dân. Tại Thanh Hóa, trong 97 dự án đầu tư công tồn đọng kéo dài, có 2 dự án đường giao thông từ cầu Nỏ Hẻn đến đường tỉnh 514 và đoạn từ đường tỉnh 514 đến Cảng hàng không Thọ Xuân đang nằm trong “vòng xoáy” chậm trễ, gây lãng phí, trở thành những lực cản trên hành trình phát triển của địa phương.
Văn Thanh
(Thanh tra) - Tại 2 dự án giao thông kết nối TP Thanh Hóa (cũ) với Cảng hàng không Thọ Xuân, khi cơ chế dần được tháo gỡ, nguồn lực đang được tính toán lại, vấn đề cốt lõi không còn là “vì sao chậm”, mà là “ai chịu trách nhiệm và làm thế nào để chấm dứt lãng phí?”. Đây không chỉ là bài toán hạ tầng, mà còn là phép thử đối với hiệu lực quản lý và quyết tâm chống lãng phí trong đầu tư công.
Văn Thanh
Văn Thanh
Văn Thanh
Thái Minh
Thuỳ Anh
T.T
Bài và đồ họa: Trang Anh
Thanh Lương
Trọng Tài
Văn Thanh
Trọng Tài
Trang Nguyệt
Trọng Tài
Thu Huyền
T. Minh
Hương Giang
Văn Tám – Hồng Hoa