Theo dõi Báo Thanh tra trên
Nam Hà
Chủ nhật, 28/05/2023 - 09:22
(Thanh tra) - Tự ý sửa tên trong các mảnh trích đo thửa đất do Chi nhánh Văn phòng Đăng ký đất đai phát hành; sau khi ký hợp đồng chuyển nhượng lại không nộp hồ sơ để đăng ký biến động theo quy định; một lô đất bán cho nhiều người… Đó là thông tin Chi nhánh Văn phòng Đăng ký đất đai huyện Đồng Phú cung cấp đối với hành vi của ông Nguyễn Cảnh Lợi.
Chi nhánh Văn phòng Đăng ký đất đai huyện Đồng Phú khẳng định ông Nguyễn Cảnh Lợi đã nhiều lần tự ý sửa tên người sử dụng đất trong các mảnh trích đo... Ảnh: NH
Tự ý sửa hồ sơ, tài liệu của cơ quan Nhà nước
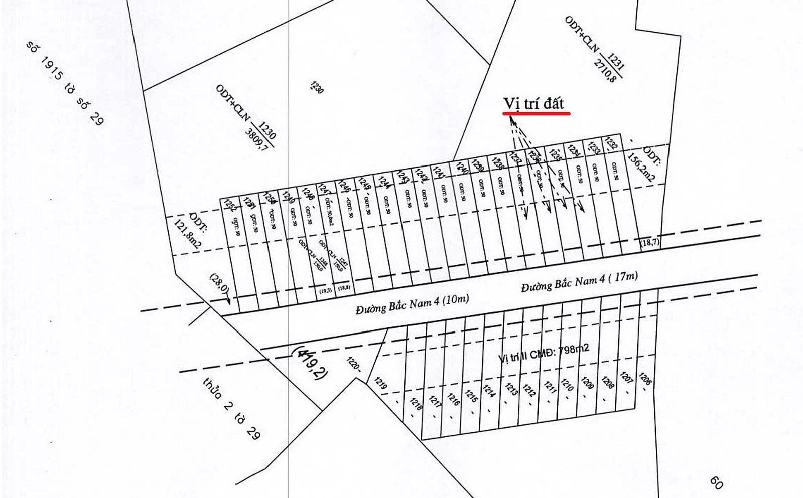
Liên quan tới 4 thửa đất có các mảnh trích đo lần lượt là 126, 127, 128, 129 của các thửa đất 1234, 1235, 1236, 1237, tờ bản đồ số 18, thuộc thị trấn Tân Phú mà Báo Thanh tra đã phản ánh trong bài viết: “Một lô bán cho nhiều người, có dấu hiệu của hành vi vi phạm pháp luật”, ngày 10/5/2023, Chi nhánh Văn phòng Đăng ký đất đai huyện Đồng Phú (sau đây viết tắt là Chi nhánh VPĐKĐĐ) đã có văn bản phản hồi câu hỏi của phóng viên.
Chi nhánh VPĐKĐĐ cho biết, tháng 1/2022, ông Nguyễn Cảnh Lợi và ông Nguyễn Xuân Hẹn đến Chi nhánh VPĐKĐĐ làm hồ sơ đề nghị tách, nhập các thửa đất đã được cấp giấy chứng nhận quyền sử dụng đất (GCNQSDĐ)… Sau khi đã kiểm tra hồ sơ, ngày 14/1/2022, Chi nhánh VPĐKĐĐ đã ký phát hành 38 mảnh trích đo địa chính (mỗi thửa 2 mảnh trích đo gốc: 1 bản lưu tại Chi nhánh VPĐKĐĐ và phát hành 1 bản cho chủ sử dụng đất), trong đó có các thửa:
Mảnh trích đo số 126, thửa 1234; mảnh trích đo số 127, thửa 1235; mảnh trích đo số 128, thửa 1236; mảnh trích đo số 129, thửa 1237. Các mảnh này đều mang tên Nguyễn Sinh Thi (nhận chuyển nhượng từ ông Cảnh Lợi).
Đến ngày 21/3/2022, ông Cảnh Lợi tới Chi nhánh VPĐKĐĐ để nộp hồ sơ. Theo đó, ông Cảnh Lợi nộp lại 2 mảnh trích đo số 127, 128 do Chi nhánh VPĐKĐĐ ký ngày 14/01/2022 kèm theo đơn của ông Cảnh Lợi (đơn trình bày và cam kết việc ông đã tự ý sửa chữa tên các chủ sử dụng đất từ Nguyễn Sinh Thi thành Bùi Thị Thùy Dương trên các mảnh trích đo đã nộp lại).
Ngày 15/4/2022, chi nhánh ký phát hành 2 mảnh bản đồ trích đo theo đề nghị của ông Cảnh Lợi. Cụ thể: Mảnh trích đo số 809, thửa 1235 (thay mảnh trích đo số 127); mảnh trích đo số 810, thửa 1236 (thay mảnh trích đo số 128). 2 mảnh trích đo đều mang tên Nguyễn Thế Hiển.
Đến ngày 22/7/2022, ông Cảnh Lợi lại tới Chi nhánh VPĐKĐĐ để nộp hồ sơ. Theo đó, ông Cảnh Lợi nộp lại mảnh trích đo số 129 kèm theo đơn (trình bày và cam kết việc làm mất mảnh trích đo số 126 và việc ông tự ý sửa chữa tên các chủ sử dụng đất từ Nguyễn Sinh Thi thành Bùi Thị Thùy Dương trên mảnh trích đo đã nộp lại) với nội dung đề nghị là thay đổi tên chủ sử dụng.
Ngày 26/7/2022, Chi nhánh VPĐKĐĐ đã ký phát hành 2 mảnh bản đồ trích đo theo đề nghị của ông Nguyễn Cảnh Lợi. Cụ thể: Mảnh trích đo số 1883, thửa 1234 mang tên Nguyễn Văn Minh (thay cho mảnh trích đo số 126); mảnh trích đo số 1881, thửa 1237 mang tên Nguyễn Văn Minh (thay cho mảnh trích đo số 129).
Chi nhánh VPĐKĐĐ cho biết, với 3 lần tiếp nhận và giải quyết, Chi nhánh VPĐKĐĐ xác định ông Cảnh Lợi đã đăng ký thay đổi tên chủ sử dụng đối với 4 thửa đất. Cụ thể: Thửa 1234 mang tên Nguyễn Sinh Thi (mảnh trích đo số 126), sau đó đăng ký đổi tên thành Nguyễn Văn Minh (mảnh trích đo số 1883); thửa 1235 mang tên Nguyễn Sinh Thi (mảnh trích đo số 127), sau đó đăng ký đổi tên thành Nguyễn Thế Hiển (mảnh trích đo số 809); thửa 1236 mang tên Nguyễn Sinh Thi (mảnh trích đo số 128), sau đó đăng ký đổi tên thành Nguyễn Thế Hiển (mảnh trích đo số 810); thửa 1237 mang tên Nguyễn Sinh Thi (mảnh trích đo số 127), sau đó đăng ký đổi tên thành Nguyễn Văn Minh (mảnh trích đo số 1881).

4 thửa đất có các mảnh trích đo lần lượt là 126, 127, 128, 129 của các thửa đất 1234, 1235, 1236, 1237 tờ bản đồ số 18 thuộc thị trấn Tân Phú. Ảnh: N.H
Một lô đất bán cho nhiều người
Chi nhánh VPĐKĐĐ cho rằng, sau khi ký và phát hành các mảnh trích đo số 126, 127, 128 và 129 đều mang tên chủ sử dụng là ông Nguyễn Sinh Thi, nhận kết quả, ông Cảnh Lợi đã tự ý sửa chữa tên chủ sử dụng đất đăng ký thành các tên khác với mục đích để ký hợp đồng chuyển nhượng cho người khác mà không đăng ký lại.
Cụ thể, thửa số 1234 (mảnh trích đo số 126) sửa thành tên Nguyễn Thị Hiệp, đồng thời ông Cảnh Lợi đã lập hợp đồng chuyển nhượng cho bà Hiệp và được Văn phòng Công chứng Đồng Phú ký chứng thực ngày 19/5/2022.
Thửa 1235 (mảnh trích đo số 127), ông Cảnh Lợi sửa tên chủ sử dụng thành Phạm Huy Hoàng, đồng thời ông Cảnh Lợi đã lập hợp đồng chuyển nhượng cho ông Hoàng và được Văn phòng Công chứng Đồng Phú ký chứng thực ngày 21/1/2022.
Thửa 1236 (mảnh trích đo số 128) và thửa 1237 (mảnh trích đo số 129) được ông Cảnh Lợi sửa tên chủ sử dụng thành Tô Văn Dũng, đồng thời ông Cảnh Lợi đã lập hợp đồng chuyển nhượng cho ông Dũng và được Văn phòng Công chứng Đồng Phú ký chứng thực ngày 24/1/2022.
Chi nhánh VPĐKĐĐ cho biết thêm: Ngay sau khi ký các hợp đồng tại Văn phòng Công chứng Đồng Phú, ông Cảnh Lợi không nộp lại hồ sơ để đăng ký biến động theo quy định mà tiếp tục tự ý sửa đổi tên chủ sử dụng trên các mảnh trích đo đối với 4 thửa đất này từ thành tên Bùi Thị Thùy Dương, nhưng sau khi sửa tên thành Bùi Thị Thùy Dương thì ông Cảnh Lợi chưa thực hiện giao dịch dân sự. Sau khi sửa chữa tên thành Bùi Thị Thùy Dương thì ông Cảnh Lợi đã nộp lại các mảnh trích đo của các thửa số 1235, 1236, 1237 để xin cấp lại các mảnh trích đo khác; riêng mảnh trích đo số 126 cấp cho thửa đất 1234 ông Cảnh Lợi đã làm mất.
Đến ngày 15/4/2022 và ngày 22/7/2022, chi nhánh cấp lại các mảnh trích đo theo yêu cầu (đổi tên chủ sử dụng) thì ông Cảnh Lợi lại tự sửa tên chủ sử dụng trên mảnh trích đo và lập các hợp đồng chuyển nhượng quyền sử dụng đất tại Văn phòng Công chứng Đỗ Mạnh Cường. Cụ thể: Ông Cảnh Lợi đã tự sửa tên chủ sử dụng trên các mảnh trích đo của các thửa:
Thửa số 1234 (mảnh trích đo số 126) và thửa 1237 (mảnh trích đo số 129) được ông Cảnh Lợi đã lập hợp đồng chuyển cho ông Nguyễn Văn Minh và được Văn phòng Công chứng Đỗ Mạnh Cường ký chứng thực ngày 16/4/2022 (thông tin hồ sơ thửa này trùng khớp với hồ sơ trích đo chi nhánh phát hành).
Thửa 1235 (mảnh trích đo số 127) và thửa 1236 (mảnh trích đo số 128) ông Cảnh Lợi đã tự sửa tên chủ sử dụng trên mảnh trích đo từ Nguyễn Thế Hiển thành Nguyễn Văn Minh, đồng thời ông Cảnh Lợi đã lập Hợp đồng chuyển nhượng cho ông Nguyễn Văn Minh và được Văn phòng Công chứng Đỗ Mạnh Cường ký chứng thực ngày 16/4/2022 (thông tin hồ sơ thửa này không trùng khớp với hồ sơ trích đo chi nhánh phát hành).

Theo Chi nhánh VPĐKĐĐ huyện Đồng Phú, đến nay ông Cảnh Lợi vẫn chưa khắc phục xong hậu quả... Ảnh: N.H
Chưa khắc phục xong hậu quả
Chi nhánh VPĐKĐĐ cho rằng, ông Cảnh Lợi đã tự ý sửa tên các mảnh trích đo nhiều lần. Cụ thể: Lần thứ nhất, sửa từ tên Nguyễn Sinh Thi thành các tên: Nguyễn Thị Hiệp; Phạm Huy Hoàng; Tô Văn Dũng. Đồng thời, sau khi sửa tên đã lập các hợp đồng chuyển nhượng được Văn phòng Công chứng Đồng Phú ký chứng thực. Sau khi ký các hợp đồng chuyển nhượng tại văn phòng công chứng, ông Lợi không nộp hồ sơ để đăng ký biến động theo quy định.
Lần thứ hai, sau khi ký các hợp đồng chuyển nhượng tại Văn phòng Công chứng Đồng Phú, ông Cảnh Lợi không nộp hồ sơ đăng ký biến động mà tiếp tục sửa tên trên mảnh trích đo từ Nguyễn Thị Hiệp; Phạm Huy Hoàng; Tô Văn Dũng (tên các cá nhân này được sửa từ tên ông Nguyễn Sinh Thi) thành tên Bùi Thị Thùy Dương nhưng ông Cảnh Lợi chưa thực hiện các giao dịch chuyển nhượng theo quy định. Sau đó ông Cảnh Lợi đã nộp lại 3 bản trích đo của các thửa số 1235, 1236, 1237, còn lại Mảnh trích đo của thửa đất số 1234 ông Lợi đã tự làm mất.
Lần thứ ba, sau khi Chi nhánh VPĐKĐĐ ký cấp lại các mảnh trích đo, ông Cảnh Lợi lại tiếp tục sửa tên chủ sử dụng của các thửa số 1235 và 1236 từ tên Nguyễn Thế Hiển thành Nguyễn Văn Minh; đồng thời sau khi sửa tên đã lập các Hợp đồng chuyển nhượng được Văn phòng Công chứng Đỗ Mạnh Cường ký chứng thực.
“Khi ông Cảnh Lợi ký các hợp đồng chuyển nhượng tại Văn phòng Công chứng Đỗ Mạnh Cường đã không hủy các hợp đồng đã được chứng thực tại Văn phòng Công chứng Đồng Phú trước đó”, Chi nhánh VPĐKĐĐ cho biết.
Sau khi có sự việc xảy ra, Chi nhánh VPĐKĐĐ đã mời và làm việc với ông Cảnh Lợi, đến nay đã xác định được nguyên nhân sai phạm, đồng thời đến thời điểm hiện tại ông Cảnh Lợi đã khắc phục sai phạm bằng việc mua lại 2 thửa đất số 1236 và 1237 từ ông Nguyễn Văn Minh (ông Minh đã được cấp GCNQSDĐ), đồng thời đã hoàn thiện hồ sơ chuyển nhượng quyền sử dụng đất đối với 2 thửa đất này cho ông Tô Văn Dũng (ông Cảnh Lợi và ông Tô Văn Dũng đã hủy 2 hợp đồng chuyển nhượng đã lập tại Văn phòng Công chứng Đồng Phú và lập lại các hợp đồng chuyển nhượng khác theo quy định). Còn lại 2 thửa là thửa 1234 và 1235, hiện ông Cảnh Lợi chưa khắc phục được.
Báo Thanh tra sẽ tiếp tục thông tin vụ việc.
Ý kiến bình luận:
Hiện chưa có bình luận nào, hãy trở thành người đầu tiên bình luận cho bài biết này!
(Thanh tra) - Lãng phí không chỉ là sự thất thoát được thể hiện qua những con số, mà còn là sự “tê liệt” của nguồn lực và sự xói mòn lòng tin của Nhân dân. Tại Thanh Hóa, trong 97 dự án đầu tư công tồn đọng kéo dài, có 2 dự án đường giao thông từ cầu Nỏ Hẻn đến đường tỉnh 514 và đoạn từ đường tỉnh 514 đến Cảng hàng không Thọ Xuân đang nằm trong “vòng xoáy” chậm trễ, gây lãng phí, trở thành những lực cản trên hành trình phát triển của địa phương.
Văn Thanh
(Thanh tra) - Tại 2 dự án giao thông kết nối TP Thanh Hóa (cũ) với Cảng hàng không Thọ Xuân, khi cơ chế dần được tháo gỡ, nguồn lực đang được tính toán lại, vấn đề cốt lõi không còn là “vì sao chậm”, mà là “ai chịu trách nhiệm và làm thế nào để chấm dứt lãng phí?”. Đây không chỉ là bài toán hạ tầng, mà còn là phép thử đối với hiệu lực quản lý và quyết tâm chống lãng phí trong đầu tư công.
Văn Thanh
Văn Thanh
Văn Thanh
Thái Minh
Thuỳ Anh
Đăng Tân
T. Minh
Hương Giang
PV
Trang Nguyệt
Minh Nguyệt
Thu Huyền
Thanh Lương
Thanh Hoa
Hải Hà
Thư Ký
Nam Dũng